Macie rację, plan był taki, by odpowiedzieć na pytanie postawione przez GGK – A. Żylisa 23 stycznia 2026 r. na IV Zjeździe Mierniczych w Opatowie „czy można zaufać geodecie uprawnionemu?”
W głównej mierze odpowiedź zależy właśnie od tego, czy można zaufać bazom geodezyjnym?! Generalnie odpowiedź o zaufanie do baz jest NEGATYWNA!.
Dlaczego? A przede wszystkim dlatego, że bazy danych są rozdrobnione na 385 części obsługiwanych przez różne systemy informatyczne, autorstwa różnych firm, które różnie realizują schematy GML. Do tego wszystkie kontrole WINGiK-ów i GGK realizowane przez pracowników GUGik dotyczą wyłącznie względów formalnych a nie wiarygodności i rzetelności danych, co najbardziej widać w bazach EGiB następnie GESUT i BDOT500. Bazy danych to temat rzeka.
Bazy geodezyjne (np. EGiB, GESUT, BDOT500 itp.),
o których mowa w Art. 4 ust. 1a ustawy Prawo geodezyjne i kartograficzne (t.j. Dz. U. z 2024 r. poz. 1151, 1824, z 2025 r. poz. 1019, 1542, 1792.) powinny, a w szczególności Ewidencja Gruntów i Budynków (EGIB), charakteryzować się cechami zaufania publicznego, ponieważ stanowią URZĘDOWE REJESTRY PUBLICZNE.
Prawne znaczenie, domniemanie prawdziwości, pierwszeństwo przed innymi rejestrami, jawność – to cechy REJESTRU PUBLICZNEGO.
Kluczowymi aspektami zaufania publicznego w odniesieniu do baz geodezyjnych, to przede wszystkim:
- – Prawne znaczenie: Dane zgromadzone w ewidencji gruntów i budynków są wiążące, np. dla organów podatkowych przy ustalaniu podatków.
- – Domniemanie prawdziwości: Jako rejestry publiczne prowadzone przez organy administracji (starostów, prezydentów miast), dane w nich zawarte są uważane za zgodne z prawdą, dopóki nie zostanie udowodniony przeciwny stan.
- – Pierwszeństwo przed innymi rejestrami: Ewidencja Gruntów i Budynków (EGIB) ma pierwszeństwo nad Księgami Wieczystymi (KW) w kwestii określenia opisu nieruchomości, przeznaczenia gruntu, budynku czy lokalu.
- – Jawność: Rejestry te są jawne, co oznacza, że każdy może uzyskać do nich dostęp, co buduje zaufanie do ich treści.
Należy jednak pamiętać, że niestety geodezyjne bazy danych nie są nieomylne.
Mimo że ich aktualizacja jest obowiązkiem Służby Geodezyjnej i Kartograficznej, ponieważ leży w interesie publicznym, zdarzają się błędy wynikające z niekompetencji, niekompletnej dokumentacji lub nienależytej interpretacji organów. Jednakże system opiera się na założeniu, że dane te są wiarygodne.
A oto pierwszy, lepszy dowód na „niekompetencję” powiązaną ze wzrostem ilości sprzedaży „mapek” przez organ stopnia powiatowego administracji geodezyjnej.
Ta grafika poniżej, przedstawia wynik zamówienia na „Arkusz mapy zasadniczej w postaci drukowanej” (Tab. nr 13 Lp. 3 zał. do uPgik), zrealizowanego przez Wydział Geodezji i Kartografii Prezydenta Miasta Bielska-Białej w woj. Śląskim.
Czyli w tym województwie, gdzie Główny Geodeta Kraju zakończył Kontrolę w trybie zwykłym, o czym będzie w dalszej części, i z której wynika, że ŚWINGiK Mirosław PUZIA w latach 2023-2025 przeprowadził kontrole w 29 jednostkach powiatowych i miejskich województwa śląskiego.
Ale w Mieście Bielsku-Białej ŚWINGiK Mirosław PUZIA nie przeprowadził ani jednej kontroli w ostatnich 3 latach!
Ten dokument, jest dowodem na kilka przekroczeń prawa, jak na przykład „kłamliwego” oznaczenia WYKONAWCY (Art. 11 ust. 1 uPgik), czy wstawienia tytułu dokumentu – jako „Kopia mapy zasadniczej...”
a powinien być tylko odcisk lub wydruk klauzuli urzędowej, o której mowa w rozporządzeniu Ministra Rozwoju, Pracy i Technologii z 2 kwietnia 2021 r. w sprawie organizacji i trybu prowadzenia państwowego zasobu geodezyjnego i kartograficznego (Dz. U. z 2021 r. poz. 820 i Dz. U. z 2023 r. poz. 1116).
Przedmiotowa klauzula przewiduje wszystko to, co bezpodstawnie i bezprawnie, jako Wykonawca (?!) zamieściła Urszula Szulakowska w opisie poza klauzulowym dokumentu, który nie powinien zawierać niczego więcej, co by go upodobniało np. do mapy do celów projektowych lub innych map.
Wyżej wykazane opisy, jak:
„PREZYDENT MIASTA BIELSKA-BIAŁEJ Oznaczenie organu Znak: GK. 6642.1.287.2026.USz„, jak również oznaczenie województwa, powiatu, jednostki ewidencyjnej oraz obrębu ewidencyjnego, nie powinny się znaleźć na wydruku kopii dokumentu z PZGiK ponieważ, prawo tego nie przewiduje, a
Przedstawiciel organu nie może sam sobie przypisywać kompetencji (Wyrok TK z 27.05.200 2 r. K 20/01),
tak jak to ma miejsce w tym przypadku, przy kształtowaniu zawartości i wyglądu WYDRUKU.
W tym miejscu warto przytoczyć słowa pochodzące z orzecznictwa Sądu Najwyższego, a dotyczącego kompetencji wszelkich organów władzy.
Wszelkie „mierniki” jak również „standardy” muszą wynikać wprost i dosłownie z przepisów prawa powszechnego, wydanego przez sejm, radę ministrów, prezesa rady ministrów i ministrów oraz organy stanowiące samorządów terytorialnych na swych obszarach ustanawiając akty prawa miejscowego.
Jednak dziedzina geodezji i kartografii nie jest regulowana tymi aktami przez starostów i prezydentów. Wobec czego, tym ostatnim pozostaje tylko stosować konstytucyjną zasadę legalizmu i praworządności. Co oznacza, że organ a takim jest starosta/prezydent, może i musi działać zgodnie z prawem i w granicach prawa. Musi wykazać istnienie szczególnej normy kompetencyjnej uprawniającej go do działania poza zakresem swojej właściwości. (Postanowienie 7-miu sędziów SN z 18.01.2005 r. WK 22/04) To znaczy, że organ musi wykazać, który przepis uprawnia go do stanowienia prawa i jego interpretacji.
Bezprawnie również nadano tytuł dla tego wydruku arkusza kopii mapy zasadniczej, oznaczajac go jako „Kopia mapy zasadniczej„, ponieważ zgodnie z ww. rozporządzeniem miejscem przeznaczenia dla takich informacji, jest wiersz 3 Klauzuli.
Również nie powinno być opisu o treści „Skala 1:500 s.m. 6.119.30.16.4.2, 6.119.30.16.4.4„, ponieważ godła w kroju arkuszowym mapy Układu PL-2000 (a nie s.m. – sekcja mapy), jednoznacznie określają skalę odwzorowania.
Godła „6.119.30.16.4.2, 6.119.30.16.4.4” powinny się znaleźć w wierszu 3 urzędowej klauzuli oznaczonej „Nazwa materiału zasobu” obok wpisu „mapa zasadnicza”. W wierszu 4 o nazwie „Data wykonania kopii materiału zasobu” – precyzuje, po pierwsze, że mamy do czynienia z kopią materiału zasobu oraz po drugie, kiedy kopia została wydrukowana a nie
wykonana.
I wreszcie wiersz 5 o nazwie „Imię, nazwisko i podpis osoby reprezentującej organ” bez podania pełnionej funkcji w organie.
Przechodząc do dolnego opisu wydruku arkusza kopii mapy zasadniczej zauważamy znowu szereg informacji, które również nie powinny się tam znaleźć, ale jednak znalazły się tam, prawdopodobnie tylko dlatego, by wydruk mapy upodobnić do tych map, które mogą wykonywać tylko i wyłącznie podmioty wymienione w Art. 11 ust. 1 uPgik, a nie organy Służby Geodezyjnej i Kartograficznej.
Osobnym zagadnieniem jest rozstrzygniecie, na ile wprowadzenie zmian do wydruku kopii mapy zasadniczej jest inwencją gestorów Państwowego Zasobu Geodezyjnego i Kartograficznego, tak jak w omawianycm przypadku: Prezydenta Miasta Bielsko-Biała, Naczelnika Wydziału Geodezji i Kartografii – Geodety Miejskiego – pani Jadwigi MŁOCEK, za-cy Naczelnika Wydziału – pani Barbary SADŁEK, czy Kierownika ODGiK – pani Aleksandry KOBUS?!

A na ile za wprowadzenie nieprzewidzianych prawem treści do kopii materiałów z Państwowego Zasobu Geodezyjnego i Kartograficznego odpowiada wykonawca oprogramowania bazującego na państwowym zasobie? Wydaje się, że ww. tytuł, skala, Wykonawca, województwo, powiat, jednostka ewidencyjna, obręb, Wykonawca, podpis wykonawcy, strzałka do północy – to elementy wymuszone i wprowadzone przez oprogramowanie obsługujące Ośrodek Dokumentacji, zakupione przez Prezydenta Miasta Bielsko-Biała.
Czyli, winę za wprowadzenie nieprzewidzianych przepisami informacji do wydruku kopii materiału PZGiK ponosi Autor oprogramowania obsługującego Ośrodek Dokumentacji Geodezyjnej i Kartograficznej?
Jak donoszą nam korespondenci, użytkownicy danych z ODGiK różnych miejsc w kraju, takich przypadków niezgodności oprogramowania, a jest w użyciu co najmniej 7 różnych systemów obsługi PZGiK, są dziesiątki jak nie setki.
Ten stan rzeczy trwa już, co najmniej od kilkunastu lat. Wszystko do tej pory było tłumaczone, że w związku z obowiązkiem stosowania zasad konkurencyjności organy administracji geodezyjnej stopnia powiatowego mieli prawa wyboru systemu obsługi PZGiK od dowolnego producenta.
I to jest zrozumiałe. Ale już przestaje być zrozumiałe, że oprogramowania bazujące, bądź co bądź, na państwowym majątku, jakimi są zasoby materiałów i informacje geodezyjne i kartograficzne, nie jest atestowane przez Główny Urząd Geodezji i Kartografii, a przede wszystkim przez Głównego Geodetę Kraju, który jest przecież Centralnym Organem Administracji Rządowej nadzorującym realizację polityki Państwa w zakresie geodezji i kartografii (Art. 6 ust. 1 i Art. 7a ust. 1 pkt 1 uPgik). To nie jest istotne, że starostowie wybierają producenta i różne oprogramowanie, by je zakupić.
Oni powinni wybierać z oprogramowania atestowanego przez GUGiK.
Takie „usprawnianie” kopii dokumentów, wydawanych z państwowego zasobu powodowały i nadal powodują, kilkukrotnie zwiększoną ilość sprzedaży arkuszy kopii mapy zasadniczej, bo przez niedozwolone prawem zmiany, mogły u inwestorów i projektantów sprawiać wrażenie map koniecznych do sporządzania na nich planów sytuacyjnych, o których mowa w Art. 29a ustawy Prawo budowlane:

W ten sposób przy wydatnej bezprawnej „pomocy” powiatowych organów administrujących PZGiK zainteresowane podmioty omijają konieczność zlecania odpowiednim upoważnionym do tego podmiotom – „Map do celów projektowych”,
szczególnie gdy w pobliżu nadruku o Wykonawcy (art. 11 ust. 1 uPgik) zamieszczano datę, co może sugerować aktualny czas wykonania mapy a nie wydruku. Wszystkie te zabiegi miały i mają jeden podstawowy cel, istotny dla budżetu samorządu terenowego, to wielokrotne zwiększenie zleceń na wydruki arkuszy map.
Dlatego też, dolne opisy tzw. „pozaklauzulowe” wyglądają odpowiednio:

Jak widać, patrząc od lewej, mamy tu w czerwonym kolorze 2 klauzule, (przy czym, tą pierwszą, opiszę później), następnie mamy blok opisu i podpisu wykonawcy oraz zamieszczenie daty, dalej blok adnotacji(?!) oraz nie w pełni wypełnioną klauzulę urzędową.
Całkowicie po lewej stronie wydruku Wykonawca: Urszula Szulakowska zamieściła symbol tzw. „strzałki do północy”, czyli coś, co kompletnie nie powinno na tym dokumencie się znaleźć.
A jak już jesteśmy przy tym, co „nie powinno się znaleźć”, to przejdę do omówienia pierwszej „pseudo urzedowej” klauzuli. A wygląda ona tak:
Oczywiście ta klauzula jest z formalnego punktu widzenia przejawem niekompetencji oraz nieznajomości przepisów. Ale z uwagi na istotę treści tej klauzuli oraz z uwagi na fak, że zamieścił ją organ odpowiedzialny z stan baz EGiB oraz rejestru publicznego Ewidencji gruntów i budynków w mieście Bielsko-Biała, musimy omówić oznajmione nam wszystkim INFORMACJE.
Przede wszystkim, dowidujemy się od przedstawiciela Prezydenta Miasta Bielsko-Biała, że
Dane ewidencyjne części granic w Mieście Bielsku-Biała określone zostały na podstawie mapy katastralnej w skali 1:2880, wykonanej około 1840 rok.
Ten sam organ stwierdził ponadto że, części granic nie spełniają obowiązujących kryteriów dokładnościowych oraz obowiązujących obecnie standardów technicznych.
Oczywiście nasuwa się szereg pytań, jak chociażby takie:
Czy Śląski Wojewódzki Inspektor Nadzoru Geodezyjnego i Kartograficznego – mgr. inż. Mirosław PUZIA o tym wie, i czy zdaje sobie sprawę, że część baz zbioru danych EGiB jest fikcją, by nie powiedzieć zbiorowym oszustwem?
A jeśli już mowa o zbiorowym oszustwie, to czy wizualizacja tych granic na urzędowym portalu https://www.geoportal.gov.pl/ gdzie dane o granicach są „zaciągane” ze stanów lokalnych portali i baz danych, które tak jak Bielsku-Białej, przedstawiają obraz wektorowy ale fałszywy, bo pochodzący z wektoryzacji analogowej mapy w skali 1:2880 o aktualności z ok. 1840 roku,
to czy Państwo ma prawo tak oszukiwać swoich Obywateli?!
Obraz tego terenu dla arkuszy mapy zasadniczej dla skali 1:500 o godłach: 6.119.30.16.4.2 i 6.119.30.16.4.4 przy wyłączeniu warstwy „Działki z powiatów” a po pozostawieniu „stanu z LPIS” nie pokazuje w ogóle granic działek. To dowodzi, że ten teren nie jest przynajmniej zanieczyszczony „mapami” z LPIS. Ale to nie dowodzi, czy niema innego rodzaju „zanieczyszczeń”, np. takich z wektoryzacji map katastralnych ze stanu na ok. 1840 rok?

Natomiast po włączeniu warstwy „Działki ewidencyjne z powiatów” dostajemy obraz z kompletem granic. Tylko co to za granice? Czy Faktyczne – prawdziwe (wg. zasad: Prawne znaczenie, domniemanie prawdziwości, pierwszeństwo przed innymi rejestrami, jawność), czy te z przed 186 lat, czyli około 1840 roku?
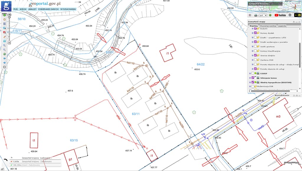
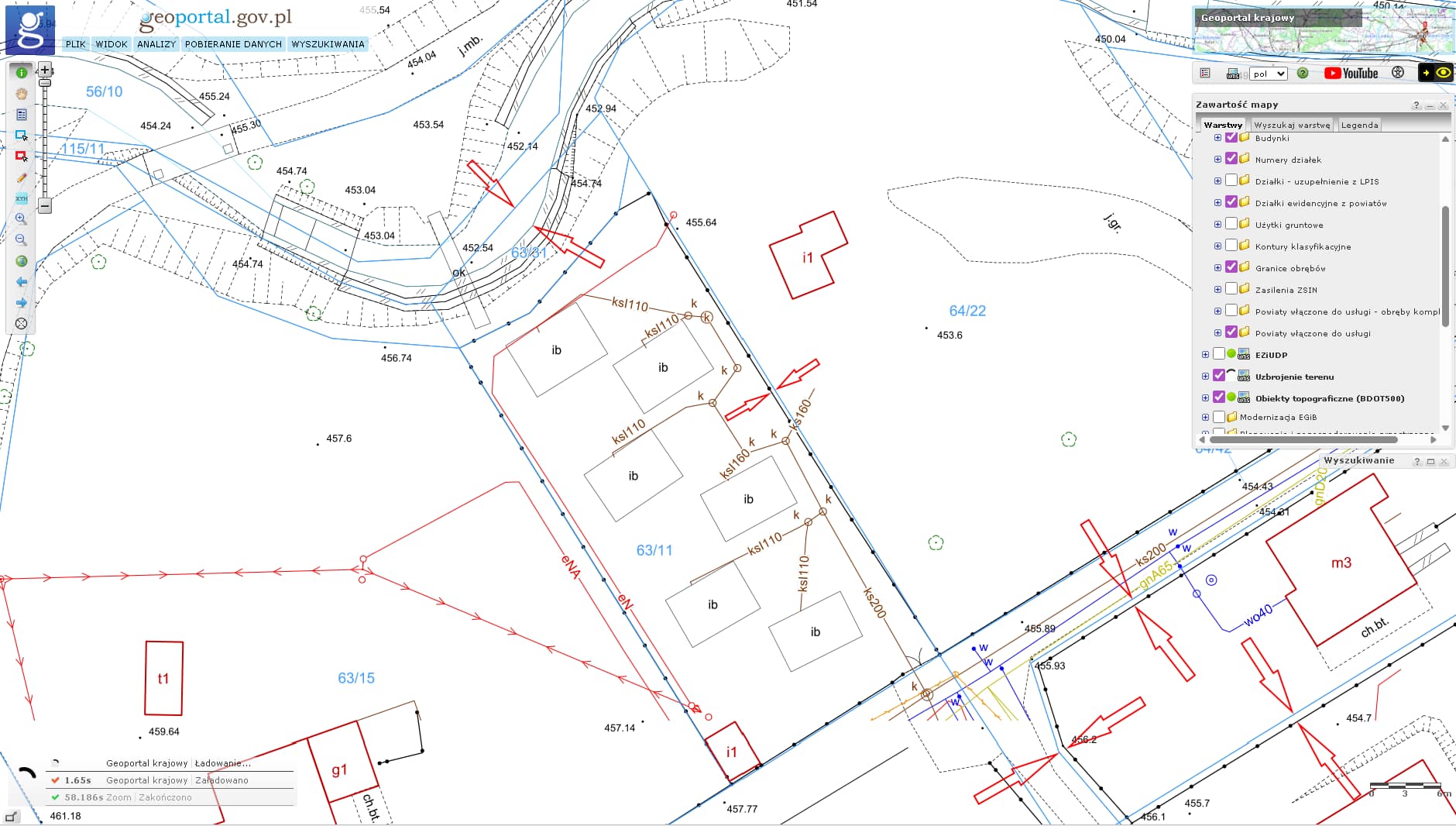
To porównajmy teraz położenie (niebieskich) linii granic działek na poniższym fotogramie i porównajmy ich przebieg z faktycznymi elementami urządzenia granic, by przekonać się, że jednak
Publiczny Rejestr EGiB w Bielsku-Białej jest nieprawdziwy i nie powinien mieć prawnego znaczenia.
Oto ten sam obszar z geoportalu.gov.pl. Strzałki pokazują rozbieżności w przebiegu granic.

Kto w takim razie odpowiada za stan opisu nieruchomości w Dziale I Ksiąg Wieczystych, jeśli dla części ewidencji gruntów i budynków włączono fałszywy przebieg granic działek ewidencyjnych?
Czy za potenjalne szkody materialne, powstałe przy transakcjach kupna i sprzedaży nieruchomości będzie ponosił odszkodowania Prezydent Miast Bielsko-Biała, jako gestor rejestru publicznego EGiB?!
A tak w ogóle, czy takie akty notarialne zawarte na podstawie fałszywych wypisów i wyrysów z ewidencji gruntów i budynków, mają moc prawną, czy raczej są to, dokumenty z wadami prawnymi, biorąc pod uwagę fakt, że organ prowadzacy ewidencję, świetnie się orientował w sytuacji, bo sam o błędach informował na wydawanych dokumentach, pochodzących z jego baz EGiB.
BŁĘDY FORMALNE W BAZACH DANYCH EWIDENCJI GRUNTÓW I BUDYNKÓW
Od 181 tygodni (od 16.08.2022 do 07.20.2026) dr hab. inż. Waldemar Izdebski, prof. PW Pracownik Naukowy Politechniki Warszawskiej publikuje na swoim blogu raporty o stanie BŁĘDÓW w bazach danych ewidencji gruntów i budynków prowadzonych przez jednostki powiatowe oraz miejskie na prawach powiatów. Błędy są badane tylko w 3 kategoriach dotyczących działek ewidencyjnych:
- Identyfikatory działek;
- Geometria działek;
- Nakładanie się obszarów działek.
Jak podaje Waldemar Izdebski na blogu, liczba wszystkich błędów ww. kategoriach to aktualnie 10 494 błędów. Na zaczerpniętej ze strony tablicy widać, jak proces likwidacji ilości błędów dla identyfikatorów działek w poszczególnych latach się zmieniał.

Co istotne, podobne kontrole jakości danych egib, miały miejsce również w GUGiK.
Jak podaje portal GUGiK:
Wojewódzcy Inspektorzy Nadzoru Geodezyjnego i Kartograficznego zostali zobligowani do objęcia nadzorem Starostów, u których w bazach ewidencji gruntów i budynków stwierdzono nieprawidłowe identyfikatory oraz błędną geometrię działek ewidencyjnych.
Z informacji przekazanych przez WINGiK wynika, że 14 z 78 Starostów planuje usunięcie błędów jeszcze w bieżącym roku. Natomiast Starostowie lubliniecki i tomaszowski wskazali rok 2029 jako planowany termin dostosowania danych EGiB do obowiązujących przepisów.
Szczegóły monitoringu przedstawiono w poniższej tabeli.
Jak z tego widać, Służba Geodezyjna i Kartograficzna stopnia powiatowego, ma totalnie „wywalone” na realizację USTAWOWYCH OBOWIĄZKÓW.
Jak utrzymuje GUGiK (15.10.2025) na swoim portalu GGK prowadzi kwartalną kontrolę jakości danych EGiB za pomocą usług pobierania WFS. Wg. GUGiK kontrola jakości obejmuje w szczególności poprawność atrybutów (czego?) oraz „geometrii danych EGiB”.
Jak podają na portali GUGiK, ostatnia iteracja kontroli jakości została przeprowadzona na początku października 2025 r., a jej wyniki przedstawia załączona tabela.
Jeżeli można zawierzyć powyższym wynikom kontroli, to rezultat PRZERAŻA.
Łączna liczba błędów świadczących o jakości prowadzonych baz danych EGiB wynosi ponad 8 milionów!!!
A są to tylko tzw. błędy formalne dotyczące:
- Numeracji obrębu w identyfikatorze budynku;
- Błędy identyfikatora budynku;
- Duplikaty budynku;
- Błędy identyfikatora działek;
- Duplikaty działek;
- Błędna geometria (czyli przedstawienie przebiegu granic) działek;
- Obszar niewypełniony pomiędzy działkami (!!!);
- Puste atrybuty;
- Itp.
15 grudnia 2025 r. Główny Geodeta Kraju (GGK) zakończył kontrolę przeprowadzoną w trybie zwykłym w Śląskim Urzędzie Wojewódzkim w Katowicach,
gdzie kontroli poddano działalność Śląskiego Wojewódzkiego Inspektora Nadzoru Geodezyjnego i Kartograficznego – Mirosława PUZI, w Śląskim Urzędzie Wojewódzkim w Katowicach.
Kontrolą objęto działalność ŚWINGiK-a w okresie 1.01.2023 r. – 31.05.2025 r. dotyczącą obowiązków wyznaczonych przez art. 7b ust. 1 pkt 2 i pkt 4 ustawy:
- Realizacja nadzoru przez ŚWINGiK w zakresie usuwania przez starostów rozbieżności występujących w danych opisowych i geometrycznych działek ewidencyjnych oraz dotyczących niespójności topologicznej działek;
- Realizacja nadzoru przez ŚWINGiK w zakresie utworzenia przez starostów baz danych, o których mowa w art. 4 ust. 1a pkt 2, 3, 10 i 12 ustawy Pgik
- Realizacja przez ŚWINGiK obowiązku wynikającego z art. 7b ust. 1 pkt 4 ustawy Pgik tj. przechowywania kopii zabezpieczających baz danych, w szczególności bazy danych ewidencji gruntów i budynków.
- Aktualizacja przez ŚWINGiK dostępu użytkowników do systemu ZSIN.
Aby nie przedłużać, za Wystąpieniem Pokontrolny GGK podaję oceny kontrolujących, które nie zawsze są pozytywne. I tak:
Kryteria ocen dokonywano na podstawie legalności, celowości i rzetelności.
Ocena kontrolowanej działalności ŚWINGiK dokonana została na podstawie oceny
cząstkowej każdego obszaru zadań własnych organu oraz zadań wykonywanych
w imieniu Wojewody Śląskiego.
Oceny cząstkowe w odniesieniu do pierwszych dwóch obowiązków „oceniono pozytywnie
z nieprawidłowościami”, co może dziwić jeśli kontrolerzy postawili np. taki wniosek:
Opisane powyżej pojedyncze działania nadzorcze cechowała duża skuteczność,
lecz po uzyskaniu odpowiedzi z powiatów, w których deklarowano sposób i czas
eliminacji wszystkich błędów, ŚWINGiK zaniechał dalszego monitorowania procesów
usuwania błędów.
Albo:
Niemniej brak kompleksowych danych za rok 2023 nie pozwala kontrolującym na
wykonanie zestawienia obrazującego skuteczność podejmowanych przez ŚWINGIK
działań.
I dalej:
ŚWINGiK w okresie objętym kontrolą nie posiadał pełnych danych o rozbieżnościach
występujących w danych opisowych i geometrycznych działek ewidencyjnych oraz
dotyczących niespójności topologicznej działek oraz nie dysponował kompleksową
wiedzą, na temat jakości baz danych EGiB o odniesieniu do wszystkich jednostek
podległych.
Podobnych ocen negatywnych w materiale pokontrolnym jest dużo więcej. Wszystko to może scharakteryzować dobrze znane powiedzenie:





